SANBORN FIRE INSURANCE MAPS
This page lists those maps I currently
have, and you can order printed reproductions here.
If you just want images of the pages, Lewis
Mitcham (Lewis Mitcham; 935 S.
Webster St; Lakewood, CO; 80226-4527) has an extensive catalog and
can provide them in .PDF format on CD at a reasonable
price: http://www.oldusmaps.com
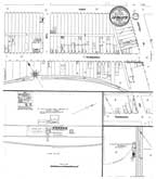
LA FOLLETTE, TN 1902
Maps of the Streets of La Follette,
1902; a reproduction of a Sanborn map at The Library of
Congress showing streets, businesses and other items of interest; map
is approximately 17" x 20"
|
CAR-MAP-414
|
Map of the Streets of LaFollette,
1902; Page 1 of 1, printed 11" x 17" on lightweight
paper.
|
|
$5
|
|
|
|
|
CAR-MAP-414a
|
Map of the Streets of La Follette,
1902; Page 1 of 1.
|
|
$15
|
|
|
|
Return to the Sanborn
Maps Page.
Return to ReevesMaps Home
Page.
The entire contents of this page copyright 2006 Charles A. Reeves,
Jr.
This page last updated October 13, 2006.